Below is a notice from the Wilmington Department of Public Works:
WILMINGTON, MA — Please be advised the Massachusetts Department of Transportation (MassDOT) and their Contractor MDR Construction Company, Inc. (MDR) anticipates beginning construction for the Lowell Street and Woburn Street Intersection Improvement Project the week of August 14, 2023. This major MassDOT intersection project is estimated to be a multi-year (3 year) project that includes the following highlights:
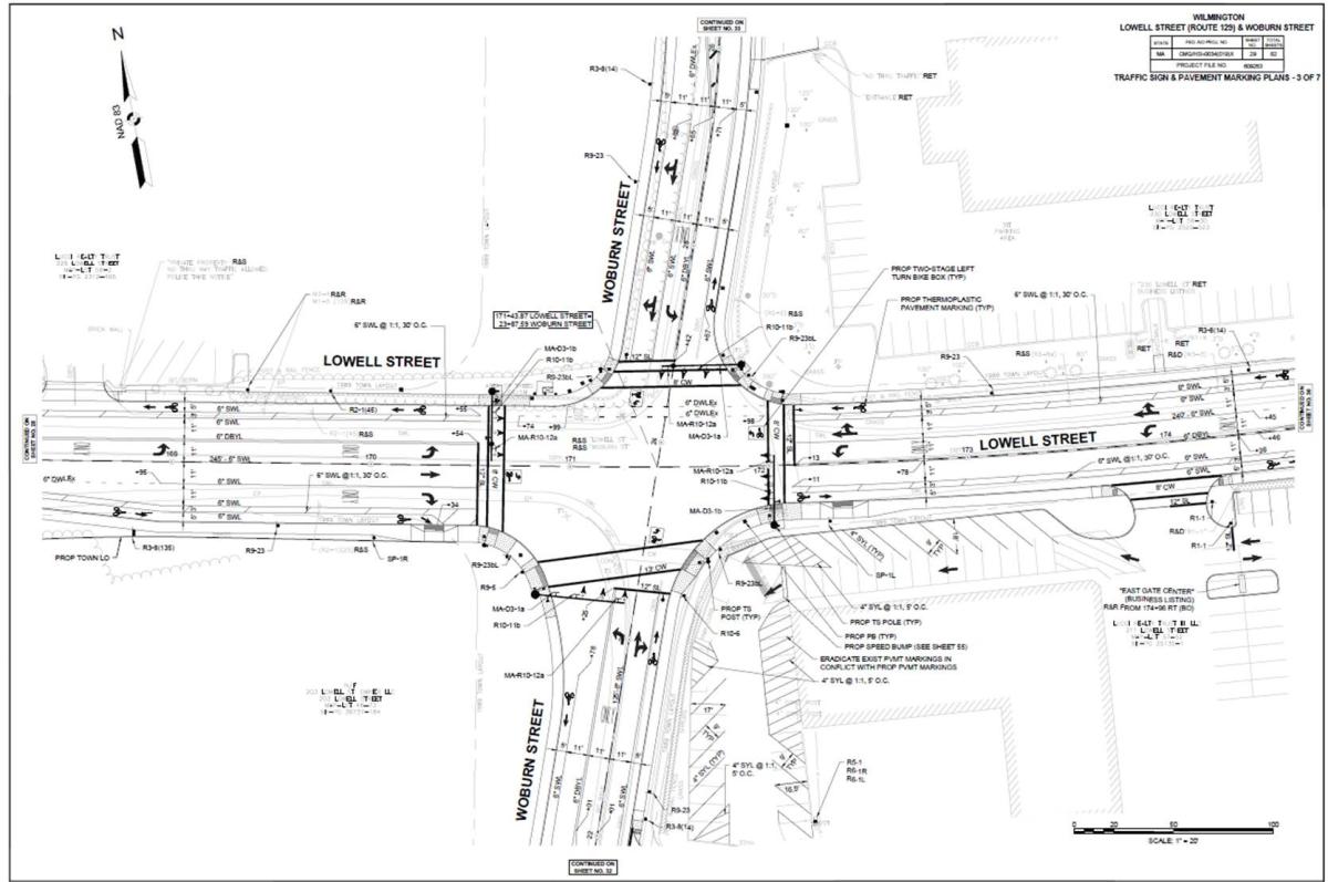
- New traffic signals, traffic signal posts and overhead booms, to provide modern equipment with increased visibility for all modes of transportation.
- Corridor (lane) widening with dedicated left turn lanes on all four approaches to the intersection.
- A new dedicated right turn lane for the eastbound approach of Lowell Street.
- Bicycle lanes on all four approaches to the intersection.
- New sidewalks, ADA/AAB accessible ramps, crosswalks, and pedestrian signal equipment on all four approaches to the intersection.
- Drainage and utility work.
Since this is a multi-year project, construction will occur in phases starting with drainage and utility work. MassDOT and MDR will be meeting with the Town bi-weekly for project coordination and to provide the contractor’s short-term (2-week) schedule. Schedule and project updates will be posted on the DPW’s website under “News and Announcements” at https://www.wilmingtonma.gov/public-works
This $5.46 million dollar project is a major construction undertaking by MassDOT. Traffic delays should be expected throughout the duration of the project. Full closure of the intersection is not anticipated at this time; however, work will be regularly occurring throughout the entire intersection and along all four approaches. This will result in lane closures, alternating traffic around the immediate work zone, and intermittent periods where drivers may experience long delays. Area residents and local businesses will maintain access to their properties throughout construction. We ask that everyone please obey the directives of police details and warning signage during construction.
If you should have any questions, please contact the Wilmington Engineering Division at 978-658-4499.

Like Wilmington Apple on Facebook. Follow Wilmington Apple on Twitter. Follow Wilmington Apple on Instagram. Subscribe to Wilmington Apple’s daily email newsletter HERE. Got a comment, question, photo, press release, or news tip? Email wilmingtonapple@gmail.com.