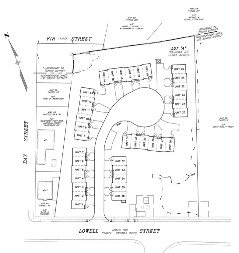
WILMINGTON, MA — A 36-unit housing development has been proposed for the old Walpole Woodworkers location at 168 Lowell Street.

The project — 36 residential town-house units, a cul-de-sac, and associated site improvements — will be in front of the Wilmington Planning Board on Tuesday, October 1, 2019 at 8pm in Town Hall’s Room 9. The applicant, Joseph Langone, is seeking site plan review, a stormwater management permit, and a multi-family special permit. A public hearing will be held for any interested residents to offer comments or ask questions.
The project will also be in front of the Community Development Technical Review Team on Monday, September 23, 2019 at 9:45am. The review team consists of representatives from various town departments, including Planning, Conservation, Public Works (Engineering & Utilities), Police, Fire, Building Inspector, and Town Assessor. They meet to review and offer feedback on new proposals scheduled to go in front of the town’s Planning Board.
View the project’s submitted plan HERE. The land is zoned neighborhood mixed use. The property is 156,026 square feet and 3.58 acres. While 39 units are allowed under the zoning, 36 units will be built. The land borders vegetative wetland to the east, Lowell Street/Route 129 to the south, AJ’s Kitchen and American Legion on Bay Street to the west, and a paper street (Fir St.) and two homes to the north.
This project has been long in the making, but details are just beginning to emerge. Sewer was extended to the property back in November 2017 to specifically service this development.
A 57-apartment complex and a 3-story commercial development with 7 retail stores and office space, plus a standalone bank, have been proposed for 203 Lowell Street, at the corner of Woburn Street and Lowell Street, less than 0.1 miles from this new development.
Within the next 2-3 years, the town and MassDOT are slated to be making significant upgrades to the Lowell Street and Woburn Street intersection, including creating left-turn only lanes on all FOUR approaches, a right-turn only lane eastbound on Lowell Street, new OVERHEAD traffic signals, new sidewalks, new crosswalks, new ADA ramps, and new bike lanes.

Like Wilmington Apple on Facebook. Follow Wilmington Apple on Twitter. Follow Wilmington Apple on Instagram. Subscribe to Wilmington Apple’s daily email newsletter HERE. Got a comment, question, photo, press release, or news tip? Email wilmingtonapple@gmail.com.