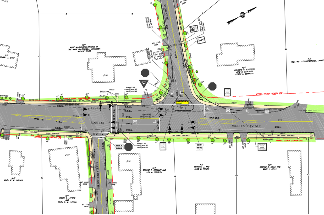
WILMINGTON, MA – The Wilmington Board of Selectmen received a significant update on the progress of the Glen Road/Middlesex Avenue intersection project at its meeting on Monday night.
Wilmington Town Engineer Paul Alunni, in a memo to Selectmen, reported that pavement milling, final paving and loop detector installation for the project will all be completed by this Friday, October 30, contingent upon favorable weather conditions. Temporary striping will then be applied to the roadway surface soon thereafter.
The mast arms have already been ordered and the contractor (MDR Construction Co., Inc.) is hopeful that they will arrive in time for the arms and traffic signals to be operational by the end of this calendar year. The town, however is a little less optimistic and believes the arms and signals will likely be installed in the early spring, after the wintry weather ceases.
Permanent pavement markings and signage will not be applied and installed until AFTER the mast arms and traffic signals are operational.
“The town [stands by] its original projection that by the spring of next year, this project will be finished,” said Hull.
“A lot of residents say [the contractors] are doing a good job out there. They’re really moving on it,” remarked Selectman Mike McCoy. “I’m impressed.”
Town Manager Jeff Hull concurred with McCoy’s observations.
“They’re moving more quickly than originally projected,” said Hull, noting the contractor actually has until the fall of 2016 to complete the project, but reiterated his expectation that it will be finished much sooner.
Like Wilmington Apple on Facebook! Follow Wilmington Apple on Twitter! Subscribe to Wilmington Apple’s daily email newsletter HERE! Got a comment, question, photo, press release, or news tip? Email wilmingtonapple@gmail.com!
